Beschreibung
In ruhiger und gewachsener Wohnlage von Edling befindet sich dieses charmante kleine Grundstück für die Bebauung mit einem Einfamilienhaus. Die Umgebung ist geprägt von gepflegten Wohnhäusern und viel Grün – hier genießen Sie ein harmonisches Wohnumfeld mit ländlichem Flair und gleichzeitig kurzer Anbindung an die Stadt Wasserburg am Inn.
Das Grundstück überzeugt durch seine überschaubare Größe, die Ihnen eine kosteneffiziente Bebauung ermöglicht, ohne auf Freiraum zu verzichten. Ob als Zuhause für eine kleine Familie, für Paare oder als Altersruhesitz, hier lässt sich ein individuelles Wohnkonzept realisieren.
Objektnummer: +G3969
Kaufpreis: 199.000,00 €
Kaufpreis: 199.000,00 €
Objekttyp: WOHNEN
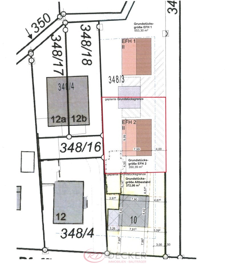
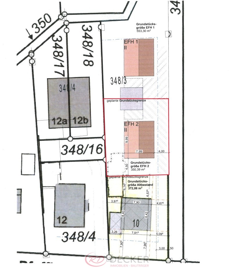
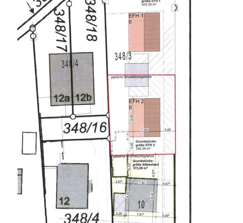
Grundstücksfläche: 350.39 m2
Grundstücksfläche: 350.39 m2




