Beschreibung
Bei der im Verkauf stehenden Immobilie handelt es sich um ein Grundstück mit charmantem Altbau.
Die letzte Sanierung fand in den 90er-Jahren statt, darunter die Fenster und das Bad sowie die Dämmung des Daches.
Das Baujahr lässt sich nicht mehr genau recherchieren, vermutlich wurde es in den 30er-Jahren errichtet.
Das Haus ist unterkellert und weitestgehend mit Fliesen ausgestattet.
Objektnummer: +G3952
Kaufpreis: 279.000,00 €
Kaufpreis: 279.000,00 €
Objekttyp: Einfamilienhaus
Baujahr: ca. 1930
Zimmer: 4
Wohnfläche: 110 m2
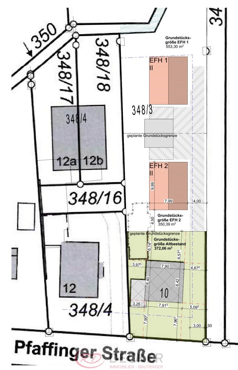
Grundstücksfläche: 372 m2
Baujahr: ca. 1930
Zimmer: 4
Wohnfläche: 110 m2
Grundstücksfläche: 372 m2
Sonstige Ausstattung
Ölheizung
Energieklasse: H
Energieausweistyp: Bedarfsausweis
Baujahr: 1930,00
Endenergiebedarf in kWh/m²a: 435,40
Wesentliche Energieträger: Öl
A+
A
B
C
D
E
F
G
Energieklasse H
H



